INR 18000, 209 Sq. Yard, HMDA Residential North-East Corner Plot For Sale At Kothur

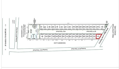
209 SqYds North-East Corner Two Side 40 feet Road facing Plot for Sale in an HMDA Final Approved Layout Gated Community just 500 mtrs from Kothur JP Dargah Road and only 4 kms from Hyd-Bangalore Highway NH 44. This Plot is located in a neat and clean 2 Acre Fully Sold Out Venture with Park and all facilities and approvals required for any type of immediate residential construction or best suitable for even a very short period investment for those looking for high appreciation. Kothur Area is poised for massive growth due to huge investments by Govt and Private Sectors including the 6 Lane Highway and RR Road. Nearby Companies include LV Prasad Eye Hospital, Natco Pharma, P & G, Johnson & Johnson, Aerolite, Pokarna, MSN, Urban Rise, Microsoft Data Centre, Hippocampus School Etc. Genuine Buyers Only may contact for site visit, Priced at 18000/Sqyd with Bank Loan Eligibility and slightly negotiable too, Location Price Trends are between 18000/- to 25000/- Per SqYd, Brokers excuse.
Hyderabad, Residential Plots, INR 18000,  209 Sq. Yard,  HMDA Residential North-East Corner Plot For Sale At Kothur Hyderabad, Residential Plots, INR 18000,  209 Sq. Yard,  HMDA Residential North-East Corner Plot For Sale At Kothur Hyderabad, Residential Plots, INR 18000,  209 Sq. Yard,  HMDA Residential North-East Corner Plot For Sale At Kothur Hyderabad, Residential Plots, INR 18000,  209 Sq. Yard,  HMDA Residential North-East Corner Plot For Sale At Kothur
Back Next